Bilocale in vendita

Ravenna, Via Camillo Benso Cavour - Centro
€ 210.000
2 locali 2 locali
66 Mq 66 Mq
1 bagno 1 bagno

Bilocale in vendita

Ravenna, Via Camillo Benso Cavour - Centro

Descrizione annuncio

RAVENNA, CENTRO STORICO.

In un edificio storico del centro città, direttamente su Via Cavour, proponiamo un appartamento signorile recentemente ristrutturato.

Il palazzo appartiene alla famiglia da oltre 100 anni; è un palazzo che è stato protagonista nel corso della storia, fin dal XIII secolo e che ha visto la sua proprietà spostarsi nel corso degli anni fra protaginisti illustri e ben noti del mondo aristocratico e papale della città.

L'appartamento infatti, dopo la recente ristrutturazione in parte conservativa del palazzo, trova al suo interno molti degli affreschi storici e originali che sono stati ripresi e 'salvati' dall'attuale proprietà.

Una ristrutturazione sensibile sicuramente sia a mantenere appunto la storicità e sia con un occhio verso la modernità e il risparmio energetico; non per altro ci troviamo davanti ad immobili ad oggi ricadenti in classe A1.

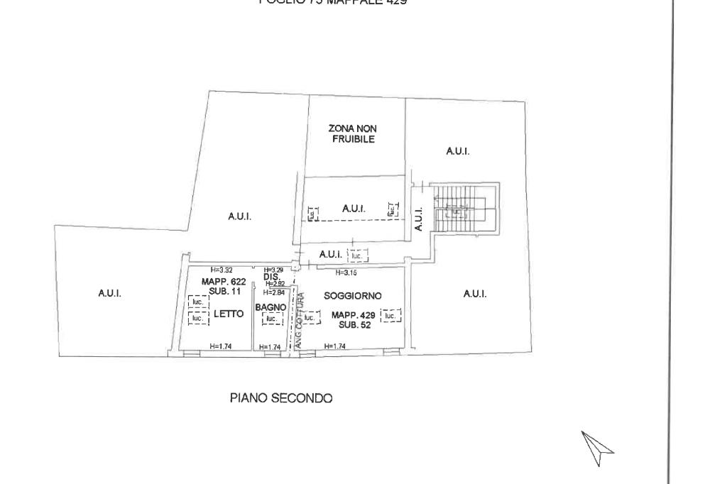
L'appartamento in questione, di 66 mq commerciali e circa 53 mq calpestabili, è composto da un ampia zona giorno, da un piccolo disimpegno, e da una camera matrimoniale di circa 18 mq; il bagno è dotato di ogni comfort e anch'esso di metratura generosa.

Tutto l'appartamento ha travi in legno a vista, ed è dotato di illluminazione naturale data sia dalle finestre, molto caratteristiche, che affacciano su Via Cavour e sia da comodi lucernai.

Si tratta di una soluzione veramente unica nel suo genere, adatta per chi ama e desidera vivere nel pieno centro della città e per chi ama godersi appunto questa comodità in maniera eclusiva e riservata.

Mostra tutto

Nelle vicinanze

Trasporto pubblico Trasporto pubblico
stazione di Ravenna
stazione di Ravenna
1,0 Km
Trasporto pubblico
290 m
Ravenna Baldini
Ravenna Baldini
780 m
Ricariche auto elettriche Ricariche auto elettriche
Eneldrive Porta Adriana
130 m
Eneldrive Tomba di Dante
630 m
Ravenna B.Alighieri | EnelX Fast
670 m
Eneldrive Ardea Purpurea
770 m
Eneldrive Parcheggio Stazione degli Autobus
1,1 Km
Scuole Scuole
Scuola elementare Filippo Mordani
240 m
Scuola primaria "Monsignor Morelli"
290 m
Liceo Scientifico Alfredo Oriani
370 m
Ghiselli
560 m
Università Degli Studi di Bologna
580 m
Farmacia Farmacia
Farmacia Ghigi
50 m
Farmacia San Biagio
170 m
Farmacia dell'Aquila
320 m
Farmacia del Portico
500 m
Farmacia Dradi
570 m
Ospedali Ospedali
Casa di cura "Domus Nova"
850 m
Casa di cura San Francesco
910 m
Santa Maria delle Croci
1,1 Km
Pronto Soccorso
1,2 Km
Centro Iperbarico
2,7 Km
Supermercati Supermercati
Coop
670 m
Conad
950 m
In's
1,9 Km
NaturaSì
1,9 Km
Discount alimentare
1,9 Km
Negozi Negozi
Il forno Argnani
380 m
La Stamperia dei Pascucci
380 m
Villaggio Globale
460 m
Coin
620 m
Eurospin - Discount
700 m
Bar Bar
Bar Cavour
60 m
Merikipe
230 m
La Tazza D'Oro
350 m
Roma
360 m
Byron
450 m
Ristoranti Ristoranti
Piadineria Mosaico
60 m
Bilancino Drogheria Di Pesce
70 m
Bistrot
90 m
Coffe Corte Cavour
120 m
Rustichello
190 m
Mostra tutto

Caratteristiche

Rif.:
61158047
Piano:
2 di 3 (Piano medio)
Camere da letto:
1
Arredamento:
Completo
Condizionamento:
Centralizzato
Ascensore:
No
Mostra tutto
Prezzo Prezzo
€ 210.000
Rata mutuo Rata mutuo
€ 990 / mese
Proponi il tuo prezzoProponi il tuo prezzo

Classe Energetica

A1
A1
A1
A1
A1
A1
A1
A1
A1
EP invernale del fabbricato:
EP estiva del fabbricato:
Anno di costruzione:
2021
Riscaldamento:
Centralizzato
Tipo impianto:
A pavimento
Tipo alimentazione:
Metano

Ti interessa visionare l'immobile?

Fissa un appuntamento  Fissa un appuntamento

Richiedi informazioni

Clicca su Leggi per aprire l'informativa
* Questi campi sono obbligatori

Calcola il tuo mutuo

Semplice e senza impegno
Anticipo

( % )
Mutuo

( % )

pochi semplici passi

inserisci i tuoi dati
Questionario completato
Grazie per aver richiesto un appuntamento senza impegno con un nostro Consulente del Credito e Assicurativo.

Hai inserito correttamente tutti i dati necessari e a breve riceverai una e-mail con un link da convalidare per inviare i tuoi dati.
Affiliato
Domus Immobiliare Srl
Via Camillo Cavour, 42 48100 Ravenna (RA)

Il nostro staff


  • Matteo Chiesa
    Affiliato

  • Mattia Francesco Mauro
    Collaboratore
Via Camillo Cavour, 42 48100 Ravenna (RA)
Zona: Centro Storico-Teodorico-Mattei-Darsena-Forese
Mostra su mappa
Orari: Lun. - Ven. dalle 9.30 alle 13 e dalle 15 alle 19.30 / Sab. dalle 9.30 alle 13 e dalle 15 alle 18
Affiliato
Domus Immobiliare Srl
Via Camillo Cavour, 42 48100 Ravenna (RA)

2026 Tecnocasa Franchising S.p.A. - P. IVA 08365160152 - Via Monte Bianco 60/A 20089 Rozzano (MI). Ogni agenzia ha un proprio titolare ed è autonoma. Privacy policy | Policy utilizzo | Cookie policy